世語圖說
  • 2025年12月02日
  • 登陸網站
  • 聯繫我們
  • 運動
  • 生肖
  • 奇趣
  • 娛樂
  • 情感
  • 新聞
  • 新聞
  • 命理
  • 美食
  • 家庭
  • 百科
  • 健康
  • 美妝
  • 旅遊
  • 健身
  • 雞湯
  • 軍事
  • 漫畫
  • 搞笑
  • 政治
深夜恐怖車禍! 加叻大道3車連環撞 5華青 1死4傷
熊康翰 • 600次觀看
不斷更新/樺加沙巔峰之姿掃台!9/23停班課資訊一次看
呂純弘 • 240次觀看
快訊/明天7縣市風雨「達停班課標準」!最新預測出爐!
舒黛葉 • 2K次觀看
震撼!卓榮泰宣布「普發1萬元」重大變動~
管輝若 • 4K次觀看
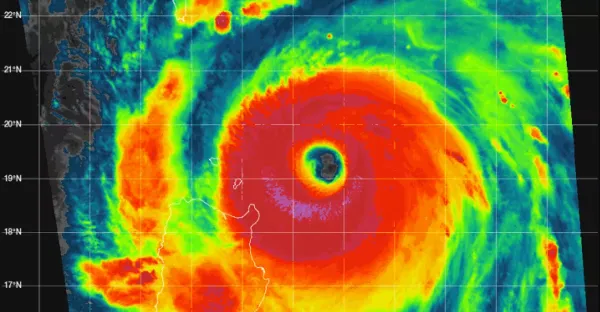
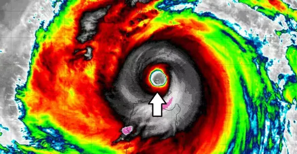
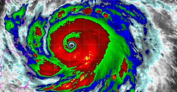
樺加沙眼牆置換進化巨型風眼 直徑70公里「等於3個香港」專家示警「5地雨最猛」
呂純弘 • 400次觀看
台中21歲女15樓墜下 身體扭曲陳屍角落 家屬尋獲遺體崩潰
劉奇奇 • 90次觀看
金星早期對「於朦朧」評價被翻出「本以為是句玩笑話」卻一語成讖, 網友:太准了
劉奇奇 • 290次觀看
南投山崩28死!瀑布下驚見「黑白無常抓交替」靈異照曝光 知情人曝:「遊客舉動激怒了魔神仔!」
管輝若 • 3K次觀看
中國遊客英語不好難溝通 店員疑罵「Bodoh」惹爭議
熊康翰 • 330次觀看
樺加沙還會更強!加速奔走中 影響最劇時段曝光
呂純弘 • 60次觀看
天氣/周二颱風假?7縣市明達停班課標準 樺加沙最新風雨預測
呂純弘 • 230次觀看
車資60變836令吉 黑心司機被捕了
熊康翰 • 700次觀看
釋昭慧反擊了!自爆月薪14萬,全部用來做「1件事」
呂純弘 • 960次觀看
餐館變迷你動物園 罰1萬 關7天!業主:我其實很愛它們
熊康翰 • 300次觀看
天氣/樺加沙午後更近!10縣市達停班課標準 氣象署曝最新風雨預測
呂純弘 • 2K次觀看
女子走進火車廁所後消失,兩個小時後打來電話:「老公,我的手腳全都沒了」
舒黛葉 • 3K次觀看
快訊/新竹出大事了!5人同車4人死亡 「生前畫面曝光」 
呂純弘 • 2K次觀看
首相宣布本月30日起 RON95 國人 RM1.99 外國人 RM2.60
熊康翰 • 240次觀看
丈夫下藥迷昏妻子!十年「招攬逾80名男子」施暴震撼全球
奚芝厚 • 380次觀看
快訊/颱風假9/22停班停課全台最新通知 ,北北基未列警戒區 蘭嶼、綠島、屏東縣6鄉鎮停止上班上課!
舒黛葉 • 310次觀看
快訊/今午後10縣市達停班課標準 全台最新風雨預測出爐
呂純弘 • 16K次觀看
樺加沙颱風/台北估9級陣風「恐颱風假」? 專家認:風雨強
呂純弘 • 480次觀看
強台樺加沙持續逼近!花蓮新增3校周一停班停課 全台颱風假一覽
呂純弘 • 1K次觀看
日版燒肉粽!女高中生12樓墜亡「壓死無辜OL」 車站出口滿地血
劉奇奇 • 380次觀看
  • « Previous
  • 44
  • 45
  • 46
  • 47
  • 48
  • 49
  • 50
  • 51
  • 52
  • 53
  • » Next

關於我們 | 隱私權 | 聯絡我們

©2020 | Proudly powered by WordPress